SUSHY BUSCA ACOGIDA O ADOPCION
- Hembra
- Mestiza
- Nació el
- Castrada
- Negativo en leishmania
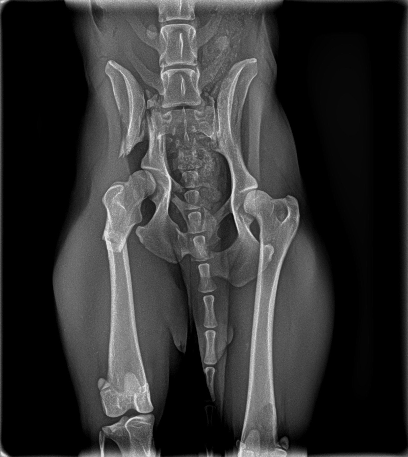
Sushy apareció atropellada en la carretera, de alli la llevaron a la perrera, donde querian sacrificarla, por suerte unas personas la sacaron y nos pidieron ayuda para ella, despues de traerla desde valencia ingreso en un hospital veterinario donde la operaron 3 veces, se paso varias semanas ingresada y cuando por fin salio a una casa de acogida se dio cuenta de que engordo en 3 dias y se le inflamaron las mamas.
Asi que la llevamos al veterinario y sorpresa sorpresa, nuestra peque estaba embarazada, como no podía tener un parto natural se programo una cesárea, pero se puso de parto 4 dias antes, asi que hubo que hacérsela de urgencias, por desgracias uno de los bebes no sobrevivió, pero Susho si que lo hizo y ella ha demostrado ser una super mami.
Busca acogida o adopcion, el 12 de mayo la vuelven a operar y esta se supone que ya es la ultima, nos han dicho que se va a recuperar por completo.
Asi que la llevamos al veterinario y sorpresa sorpresa, nuestra peque estaba embarazada, como no podía tener un parto natural se programo una cesárea, pero se puso de parto 4 dias antes, asi que hubo que hacérsela de urgencias, por desgracias uno de los bebes no sobrevivió, pero Susho si que lo hizo y ella ha demostrado ser una super mami.
Busca acogida o adopcion, el 12 de mayo la vuelven a operar y esta se supone que ya es la ultima, nos han dicho que se va a recuperar por completo.
Formulario de adopcion:
https://www.cantileros.es/formulario-de-adopcion-castrado




















































